Diario El Independiente
Diario El Independiente

Noticias de BCS, México y el mundo.


Hoy es viernes, 26 de diciembre de 2025

Primeras lluvias asociadas a “Rosa” causan crecida de arroyos en Los Cabos; se mantiene en categoría 4

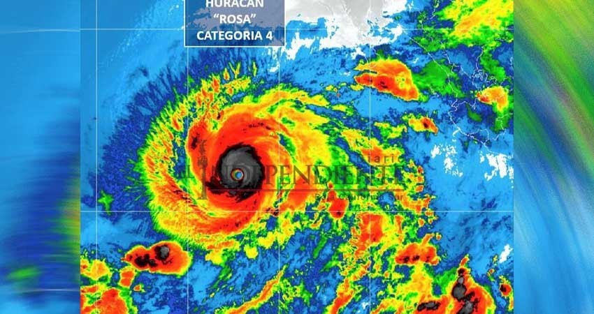
•Esta mañana reportó el SMN que el meteoro se ubica a 1030 kilómetros al suroeste de CSL

Primeras lluvias asociadas a “Rosa” causan crecida de arroyos en Los Cabos; se mantiene en categoría 4


San José del Cabo, Baja California Sur.- Las primeras lluvias asociadas a las ondas nubosas del huracán 'Rosa” se registraron durante la noche de ayer en el municipio de Los Cabos, provocando la crecida de arroyos e inundaciones, principalmente en Cabo San Lucas.


En su reporte de las 07:00 horas de este viernes, el Servicio Meteorológico Nacional (SMN) informo que el meteoro se mantiene en categoría 4 en la escala Saffir-Simpson, ubicándose a 1030 kilómetros al suroeste de Cabo San Lucas.


Señala el organismo que el huracán “Rosa” continúa registrando vientos máximos de 230 kilómetros por hora (km/h), y rachas de hasta 275 km/h, con una trayectoria hacia el oeste a 11 km/h.


El desplazamiento del fenómeno hidrometeorológico sigue favoreciendo el potencial de tormentas fuertes a intensas en los estados de Baja California Sur, Jalisco, Nayarit, Sinaloa y Colima, reportó el SMN.


De acuerdo a los pronósticos, “Rosa” no impactaría al sur de la media península, sin embargo, se prevé que sus ondas nubosas continúan registrando  precipitaciones.