Diario El Independiente
Diario El Independiente

Noticias de BCS, México y el mundo.


Hoy es miercoles, 29 de octubre de 2025

SMN: Mantiene huracán "Norma" su trayectoria a Baja California Sur

Para este jueves, se pronostican lluvias aisladas en la entidad de 0.1 a 5 milímetros.

SMN: Mantiene huracán "Norma" su trayectoria a Baja California Sur

Fotogalería



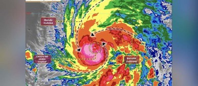
San José del Cabo, Baja California Sur. Tal como el Sistema Meteorológico Nacional (SMN) lo pronosticó, la tarde de este miércoles la tormenta tropical Norma escaló a huracán categoría uno y hasta el último reporte, se proyectaron bandas nubosas para las costas de la zona el Pacífico.


El último comunicado emitido por el SMN, este fenómeno ocasionará lluvias puntuales intensas de 75 a 150 milímetros en regiones de Colima, Guerrero, Jalisco y Michoacán; muy fuertes zonas de Nayarit; chubascos en el Estado de México y Sinaloa, así como lluvias aisladas de 0.1 a 5 mm en Baja California, Baja California Sur, Chihuahua, Ciudad de México, Durango, Morelos, Puebla y Sonora.


Para la mañana de este jueves 19 de octubre, Norma continuará desplazándose hacia el norte y se ubicará al suroeste de las costas de Jalisco y Colima, y al sur de Baja California Sur.


Se espera que para la tarde genere rachas de viento de 70 a 80 km/h y oleaje de 2 a 3 m de altura en los litorales de la entidad, así como temperaturas de 35 a 40 grados Celsius.


Hasta el cierre de esta edición, el ciclón se ubicó a 750 km al sur-sureste de Cabo San Lucas, se desplaza hacia el norte a 13 km/hh, con vientos sostenidos de 150 km/h y rachas de 185 km/h; se prevé que este sistema se intensifique gradualmente, logrando alcanzar la categoria de huracan 3 en la escala de Saffir-Simpson.


Autoridades recomiendan a la población estar al pendiente de la trayectoria de este fenómeno.